• inventaire topographique, canton de Noyon
La demeure urbaine à Noyon : hôtels, maisons et demeures de chanoines
Copyright
  • (c) Région Hauts-de-France - Inventaire général

Dossier non géolocalisé

  • Dénominations
    hôtel, demeure, maison
  • Aires d'études
    Communauté de communes du Pays Noyonnais
  • Adresse
    • Commune : Noyon

L'étude de la demeure urbaine à Noyon se présente dans des conditions un peu particulières. La ville ayant beaucoup souffert pendant la Première Guerre mondiale, les lacunes dans le bâti ancien sont nombreuses. Les bombes ont frappé au hasard le centre ville, touchant inégalement, sans doute, l'une ou l'autre "familles" de demeures, sans que nous puissions en juger. L'absence de continuité du bâti constitue un autre handicap. Les demeures anciennes se présentent souvent isolées dans un quartier, ou dans une rue, où les demeures reconstruites après 1918 dominent très largement. Enfin, les demeures conservées nous sont souvent parvenues très restaurées, en particulier au niveau des charpentes ou des couvertures.

Ces difficultés ont encouragé l'analyse plus poussée des sources bibliographiques et de documents iconographiques, préalable à l'étude sur le terrain. Notre travail s'est développé dans le cadre du pré-inventaire normalisé, méthode mise au point par l'Inventaire général pour le repérage exhaustif de toutes les demeures anciennes et l'étude des plus représentatives d'entre elles. 304 demeures antérieures à 1914, dont 184 intra-muros, ont donc été recensées, sur un total bâti de 4000 demeures. Ce corpus important constitue une base solide pour l´étude des demeures anciennes (maisons, hôtels particuliers, demeures de chanoine) de la fin du 16e siècle au 20e siècle.

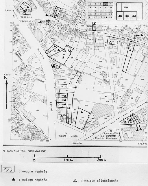
Les repères trouvés dans la toponymie, dans la configuration des maisons ou dans les documents, qui permettent de préciser leur destination primitive, donnent des informations pouvant être cartographiées.

On observe ainsi un regroupement des demeures canoniales dans un espace restreint qui correspond approximativement à l'ancienne enceinte du Bas-Empire : place du Parvis, rue Corbault, rue de Gruny, rue Saint-Antoine, rue de la Madeleine, rue des Deux-Bornes, rue de l'Evêché ; seules les maisons de la rue Saint-Pierre se trouvent à l´extérieur de ce périmètre.

Au sud de l'hôtel de ville, se situait le quartier des artisans. Les rues des Boucheries et de l'Ecorcherie évoquent l´importance d´une activité artisanale située autrefois à proximité de la Verse. La Petite Verse, par laquelle s'échappent les eaux usées de la ville, était liée quant à elle aux ateliers de tannerie (rue des Tanneurs) et de cordonnerie (place Cordouen).

En revanche, les hôtels particuliers sont dispersés principalement le long des grands axes urbains, rue de Paris, rue Jean-Abel-Lefranc, rue Saint-Eloi et rue de Grèce, qui comptent assurément parmi les plus belles rues de Noyon.

Les informations d'ordre chronologique, livrées par le repérage exhaustif des demeures anciennes, reflètent dans une certaine mesure les grands moments de l'activité constructive à Noyon ; liées à l'analyse morphologique des demeures, elles permettent un découpage chrono-typologique de l'étude du bâti.

Le travail de repérage fait apparaître, en premier lieu, un très petit nombre de demeures conservées construites avant 1650, aucune n'étant antérieure au grave incendie qui ravagea la ville en 1552. Très rares sont les vestiges du Noyon médiéval. La demeure de chanoine (devenue presbytère), 3 place du Parvis, est peut-être l'une des seules où l'on puisse lire encore une superstructure antérieure au 16e siècle. En effet, si elle date pour l'essentiel des 17e et 19e siècles, ses larges pignons de pierre remontent très certainement au Moyen Age.

Le Moyen Age est encore représenté par une série importante de caves, situées presque toujours sous des demeures plus récentes et qui leur correspondent rarement. Parfois simplement taillées dans une couche de terrain sablonneux, elles sont le plus souvent soigneusement appareillées en pavés de grès et en calcaire. Dans ce cas, elles sont couvertes de voûtes, voûtes en berceau brisé, voûtes d´arêtes ou voûtes d´ogives pour les exemples les plus soignés et un peu exceptionnels. L'accès à ces caves se fait généralement par un escalier de pierre, étroit, couvert d'une série d'arcs brisés correspondant chacun à une marche. Ce type d'accès, comme d'une manière générale les caves médiévales de Noyon, est difficile à dater, sans la présence de formes ou d'un décor caractéristiques. C'est le cas de la très belle cave située 8 place du Parvis, à l'emplacement d'une ancienne demeure de chanoine, aujourd'hui détruite. Ici, les voûtes d'ogives, le profil des nervures, la forme du chapiteau à feuillages recevant les retombées, très proches de celles du cellier du réfectoire canonial, peuvent être datées du 13e siècle.

Une seule maison (6 rue des Deux-Bornes), bien que construite dans la seconde moitié du 17e siècle, évoque peut-être, par son parti archaïque et par les matériaux mis en œuvre, ce que pouvait être une demeure à Noyon avant l´incendie de 1552. Elle compte trois niveaux, un rez-de-chaussée et deux étages carrés en pan de bois sur encorbellement, distribués par un escalier hors œuvre, logé dans une tourelle, également en pan de bois, adossée à l'élévation postérieure.

Les demeures construites entre 1552 et 1650 sont si peu nombreuses que tout classement typologique à cette échelle serait vain. Les plus anciennes demeures de Noyon peuvent seulement être décrites. Construite sur une cave médiévale qui ne lui correspond pas, la plus ancienne d'entre elles (impasse Saint-Hilaire) date probablement de la seconde moitié du 16e siècle. Plusieurs fois mutilée et transformée, elle présente un plan en L, l´élévation est à deux niveaux, la toiture à longs pans s'appuie sur des pignons à redents. L'élévation postérieure, assez bien conservée, est rythmée par des pilastres encadrant chaque baie, tandis que des bandeaux moulurés soulignent les divisions horizontales. Le gros œuvre est en brique, conservant les vestiges d´un décor de briques vernissées à motifs de losanges, avec des boutisses de pierre calcaire disposées régulièrement.

Les quelques maisons de la première moitié du 17e siècle qui nous sont parvenues, se caractérisent par l'emploi conjoint de la brique et de la pierre. La brique est utilisée pour l'essentiel du gros œuvre, la pierre, taillée à bossages, pour les chaînes, les encadrements de fenêtres et de portes. Une maison présentant ces caractères a été repérée 16 rue de Belfort. De plan allongé, elle est desservie par une porte piétonne latérale, qui ouvre sur un couloir transversal donnant accès à un escalier dans œuvre, rampe sur rampe, et à une cour. Cette maison, sans étage carré, a conservé son aspect primitif avec sa couverture en tuiles plates, ses pignons découverts et ses lucarnes à jouées et linteaux cintrés en pierre, dont la modénature est bien caractéristique de la première moitié du 17e siècle.

La maison du 8 rue de l'Arc, date de la même époque. Un étage carré lui confère cependant un aspect plus monumental. Nous retrouvons également la même association de la brique et de la pierre, la brique étant ici masquée par un enduit moderne. Primitivement à un seul corps, la maison reçut à la fin du 18e siècle une aile en retour d'équerre, accolée à l'élévation postérieure. L´élévation antérieure s'articule sur un axe de symétrie, que vient renforcer l'imposante porte piétonne. Ici, le couloir transversal est situé au centre de la demeure. Escalier et divisions intérieures sont des aménagements postérieurs.

La datation de ces demeures est confirmée par comparaison avec une maison située 17, rue Saint-Eloi, portant la date 1620. Toutes trois présentent en particulier des chaînes de pierre avec les mêmes types de bossage.

Les demeures postérieures à 1650 peuvent, en revanche, être classées par types.

Les hôtels

On observe, dans le secteur central de Noyon, zone périphérique de la cathédrale, une série de demeures qui présentent des dispositions assez complexes : portail d'entrée ouvrant sur une cour et logis entre cour et jardin. La dimension de la demeure varie, selon qu'elle affecte un parti à corps unique ou que viennent se greffer une ou deux ailes en retour d'équerre. La plupart de ces édifices sont d´anciens hôtels de chanoines.

La disposition de l'hôtel dépend de la forme de la parcelle qu´il occupe. Dans le cas d'une parcelle étendue, l´hôtel est construit en retrait de la rue, entre cour et jardin. Nombre d´hôtels des 17e et 18e siècles correspondent à ce schéma. Citons l´hôtel 12, rue Saint-Pierre, ancienne demeure de chanoine. Un portail sur rue donne accès à la cour intérieure. Le corps principal, situé entre cour et jardin, comprend sept travées en façade, sur deux niveaux. Il est accosté par deux ailes en retour d'équerre plus basses d´un étage, fermant la cour. Il s´agit de l'hôtel "entre cour et jardin", dont les dépendances, écuries, remises à voiture, cuisine, occupent les ailes. Le corps principal date de la seconde moitié du 17e siècle et les ailes de la fin du 18e siècle. Construit en brique et pierre, le corps central conserve une distribution intérieure ancienne quoique postérieure (sans doute du 18e siècle). L'escalier, placé dans l'angle gauche du corps principal regarde vers la cour. Du vestibule, au rez-de-chaussée, on pénètre dans les pièces de réception, qui se commandent par des portes en enfilade. Au premier étage, un couloir latéral côté cour distribue les chambres.

Ce premier type d'hôtel, de plan en U, est surtout fréquent au 18e siècle. Le plus monumental est l'hôtel Arnette de la Charlonny, construit vers 1770-1780, qui reprend le même parti général. Les ailes, plus importantes, possèdent deux étages comme le corps principal. La façade la plus ornée, surmontée d'un fronton triangulaire, donne sur le jardin et non sur la cour, comme il était de règle aux siècles précédents. L'édifice conserve une grande partie de sa distribution et de son décor d'origine. L'escalier, reconstruit après 1918, est situé à l'angle droit du corps central. Au rez-de-chaussée, un vaste couloir latéral sur élévation antérieure dessert les pièces de réception. La distribution par un couloir latéral derrière façade se retrouve au premier étage ; il dessert une suite de chambres conservant alcôves et cheminées d'origine.

L'hôtel 1, rue Sainte-Godeberthe, portant la date 1784, adopte un parti similaire. Les deux corps de bâtiment en retour d´équerre s'ordonnent autour de la cour, fermée par un portail latéral. L'escalier est implanté dans l´angle droit du corps central. Aux deux niveaux, un couloir distribue les pièces. Au rez-de-chaussée, le grand salon dessert directement la chambre à coucher, Au premier étage, une petite antichambre distribue chaque chambre, ainsi que les pièces de service et annexes. L'aile droite est occupée par les cuisines, l'aile gauche par une remise.

Lorsque le plan parcellaire se resserre, le jardin disparaît, comme on le constate à l'hôtel canonial situé 7 rue des Deux-Bornes, qui date du 17e siècle, mais le plan en U, articulé autour d´une cour d´entrée, est conservé.

L'hôtel peut aussi affecter un plan en L avec une seule aile mais il conserve toujours une cour antérieure à laquelle on accède depuis la rue par une large porte cochère ; c'est le cas des hôtels situés 14 rue de l'Evêché et 1 place du Parvis.

Un autre type d'hôtel, entre cour et jardin, est celui, très spécifique, des demeures de chanoines de la place du Parvis. Il s'agit d´un ensemble très homogène, véritable enclos canonial. Ces demeures datent des 17e et 18e siècles mais ont été très restaurées aux siècles suivants. Elles s'élèvent sur des caves médiévales s'appuyant sur le mur d'enceinte gallo-romain, ce qui explique la régularité du parcellaire. Chaque parcelle a conditionné le plan entre cour et jardin, assez resserré, avec trois ou quatre travées en façade.

A Noyon, il existe un autre type d'hôtel, dont la structure diffère : le corps principal est aligné sur la rue, avec une porte cochère latérale desservant une cour en cœur de parcelle et des remises. Malgré la disposition sur rue, l'accès au logis s´effectue toujours depuis la cour. Cette disposition est très répandue au 18e siècle.

On en trouve un bel exemple 12 rue Jean-Abel-Lefranc. L'hôtel, du milieu du 18e siècle, présente un très long logis sur rue. La porte cochère donne accès, sous le passage, à une remise. L´entrée du logis de plan en L se fait depuis la cour ; l'aile en retour contient l´escalier principal. Le même parti se retrouve 25 rue Saint-Eloi.

On distingue ainsi deux types d´hôtel à Noyon : le premier "entre cour et jardin" avec portail d'entrée présente plusieurs variantes, selon le nombre et l'importance accordée aux ailes latérales du logis, où se trouvent les communs. Ce type d'hôtel, attesté au 16e siècle, perdure jusqu´au 18e siècle, concurremment avec l´hôtel "sur rue" avec porte cochère et cour intérieure qui semble apparaître au 18e siècle.

Les maisons

A une seconde catégorie de demeures appartient la maison "bourgeoise" ou purement résidentielle, qui se caractérise par une implantation sur rue, un accès direct par une porte piétonne et une élévation à deux ou trois niveaux. La porte piétonne, dans le cas d'une maison à trois travées resserrées, est toujours latérale. Le couloir qui la prolonge donne accès généralement à l´escalier dans œuvre ou hors œuvre. Lorsque la maison s'étend en longueur, la porte piétonne se déplace vers le centre, déterminant une élévation symétrique, surtout aux 18e et 19e siècles. On en trouve des exemples rue Saint-Eloi et rue de Paris. Au 11 rue Saint-Eloi, la maison à trois travées en façade, à deux étages, date du 17e siècle. Au 9 de la rue Saint-Eloi, l'imposante maison, portant la date 1765, possède également deux étages ; un balcon vient souligner la travée centrale flanquée de chaînes de pierre verticale. De la même époque environ, date la maison située 22 rue de Paris, à six travées, qui présente aussi une façade ordonnancée à composition symétrique.

Au 19e siècle, on trouve beaucoup d´exemples de maisons bâties sur un parcellaire plus resserré. La présence d´une seule pièce sur rue impose une élévation asymétrique, en général de trois travées avec une porte piétonne latérale, donnant accès à l'escalier. La maison 8, rue Jean-Abel-Lefranc, qui remonte au début du 19e siècle, en est un bel exemple avec sa décoration en pierre de taille et ses pilastres toscans au rez-de-chaussée et au premier étage. Ce parti d'élévation perdure pendant tout le 19e siècle, comme en témoigne la maison du 4 bis de la rue de Metz-l'Evêque de la seconde moitié du 19e siècle. Bâtie en brique et pierre, elle présente aussi trois travées en façade et une porte piétonne latérale.

Ainsi, sur le plan morphologique, on distingue aisément une maison dite "bourgeoise" de l'hôtel du centre ville, par sa structure à corps unique et sa communication directe avec la rue. On n'y trouve jamais de portail ou de porte cochère. La structure de l'escalier est un autre trait caractéristique de la maison. Souvent, par manque de place, l´escalier est bâti hors œuvre contre l´élévation postérieure, dans une cage en pan de bois. Cette disposition est fréquente au 17e et au 18e siècle. Les deux maisons de la rue Saint-Eloi et celle de la rue des Deux-Bornes possèdent un escalier hors œuvre (celui du 11 rue Saint-Eloi a conservé sa rampe d'appui à balustres en bois). Au 19e siècle, bien que les maisons soient toujours simples en profondeur, l'escalier est systématiquement construit dans œuvre.

Une troisième catégorie, surtout représentée dans le quartier de l´hôtel de ville, est la maison de commerçant ou d'artisan. C'est un type répandu au 17e siècle à Noyon, dont il nous reste quelques exemples bien conservés. Le plan massé de la maison permet d´intégrer dans œuvre l'escalier, dont chaque palier distribue les pièces des étages. Couverte d'un toit à deux pans, la maison se développe en hauteur, surtout sur la place de l´Hôtel-de-Ville (ancienne place aux herbes). Deux exemples se trouvent aux 1 et 4 rue des Boucheries, dont le nom évoque la vocation commerçante du quartier. La première maison peut être datée du milieu du 17e siècle, d'après l'aspect de sa modénature. Elle présente une structure en brique et pierre au rez-de-chaussée et au premier étage, en pan de bois au dernier étage. La seconde maison, à deux étages, présente également un plan carré et un toit à deux pans. Le pignon est construit en pan de bois, phénomène qui n´est pas rare au 17e siècle. Une troisième maison du 17e siècle présente une morphologie similaire, 23, rue Jean-Abel-Lefranc. Construite en brique et pierre, elle conserve ses pignons en pan de bois. Ces maisons, qui datent du 17e siècle, possèdent toutes une boutique au rez-de-chaussée.

Les maisons appartenant à ce type peuvent n'avoir qu'un étage, comme la maison, 10, place de l'Hôtel-de-Ville, qui date du 17e siècle. Elle possède de beaux pignons découverts en brique et pierre posée en boutisse. La maison, 40 rue du Général-de-Gaulle, très semblable quoique plus tardive, doit remonter au début du 18e siècle.

Dans le centre ville, et surtout dans les faubourgs, on peut observer une quatrième catégorie : la maison de "manouvrier". Il s'agit de petites maisons en rez-de-chaussée, présentant deux à trois ouvertures en façade. Elles se situent au sud de la ville, adossées, pour la plupart, à l´ancienne enceinte médiévale. On les rencontre rue du Gard, notamment au 19 et 19 bis. Bâties en pierre de taille et datant du début du 19e siècle, elles s'apparentent à l'architecture vernaculaire des villages alentour.

La demeure bourgeoise du 19e siècle

Citons enfin une dernière catégorie de demeure née au milieu du 19e siècle. Entre 1850 et 1914, à l'époque de la création des boulevards de ceinture établis à l´emplacement des anciens fossés. On peut établir deux types de maisons de boulevard, suivant leur implantation.

Majoritairement, elles sont alignées sur rue et mitoyennes, occupant des parcelles relativement modestes avec un jardin en fond de parcelle. La maison du 25, boulevard Sarrazin, construite vers 1860-1870, fait partie de ce type le plus courant. Alignée sur rue, elle dispose d´une porte piétonne et d'une porte cochère latérale. L'implantation perpendiculaire à la rue est plus rare ; elle s'observe lorsque la parcelle est grande et que l'on a pu ainsi ménager un vaste jardin le long de la rue. La maison 54, boulevard Carnot en est un exemple exceptionnel de par sa qualité architecturale.

Le second type est la maison implantée en milieu de parcelle, qui correspond à des constructions plus tardives, après 1880. De plan généralement massé, les maisons sont élevées dans divers lotissements effectués par la ville de Noyon pour urbaniser les boulevards sud et est, à l'exemple du lotissement Carpentier, au sud de la ville. Au 5, rue Henri-Carpentier, la demeure élevée vers 1900 présente toutes les caractéristiques de l'architecture de villégiature qui sert de modèle dans les lotissements résidentiels de la périphérie. La maison construite vers 1910, au 11 boulevard Ernest-Noël, en constitue un exemple plus modeste.

L'architecture de la Reconstruction à Noyon après la Première Guerre mondiale n´a pas fait l'objet d'une étude systématique. Citons néanmoins l'exemple remarquable de la maison 32, rue Saint-Eloi, commandée par Verret à l'architecte Auguste Perret en 1926. L'ossature de béton armé est masquée par un enduit de ciment lisse. La façade principale donne sur le jardin. Au rez-de-chaussée, un grand vestibule inclut dans son volume l'escalier tournant et distribue les pièces. Le salon s'étend sur toute l'élévation sur jardin, éclairée par des bow-windows. Au premier étage, un couloir central distribue les chambres.

Les matériaux

Bien que les exemples soient manquants jusqu´au 16e siècle, on peut estimer que la plupart des demeures étaient construites en bois avec sans doute une assise et un rez-de-chaussée en pierre. Les cartes postales d´avant 1914 présentent, encore bien visibles, quelques exemples qui devaient remonter à la 2e moitié du 16e siècle. On connaît également par les textes, une maison rue Saint-Eloi, construite « en bois », qui portait la date 1552, et une inscription rappelant la destruction de la ville par les troupes de Charles Quint. Elle dut être construite juste après cet événement.

A partir de la fin du 16e siècle et jusque dans les années 1770 environ, on constate l´emploi quasi systématique d´un appareillage de brique et de pierre, dont les hôtels de chanoines présentés plus haut offrent de beaux exemples. La brique forme le gros oeuvre du mur et la pierre est utilisée pour les chaînes, encadrements de portes et fenêtres, ainsi que pour les corniches. Elle est souvent posée en boutisse sur le mur pignon. Il s´agit toujours d´une pierre de taille calcaire, assez tendre. Le grès est utilisé pour les assises.

Au 17e siècle, pour les maisons du centre ville, on observe une utilisation hiérarchisée des matériaux, les matériaux nobles, la brique et la pierre étant réservés à la façade sur rue alors que l´élévation postérieure présente une structure plus légère, en pan de bois sur solin de pierre. La maison 11, rue Saint-Eloi, est à cet égard une excellente illustration de ce phénomène, dont l´origine semble surtout d´ordre économique. Ce mode de bâtir se perpétue au 18e siècle (9, rue Saint-Eloi). On signalera toutefois que les hôtels ne sont jamais construits en pan de bois.

A partir des années 1770-1780, un changement total s´opère dans le choix des matériaux ; les demeures sont alors exclusivement construites en pierre de taille. Au 18, rue de Grèce, la maison de la fin du 18e siècle est construite en pierre calcaire, taillée en moyen appareil. Pendant toute la première moitié du 19 siècle, les maisons sont encore édifiées exclusivement en pierre de taille. Cette abondance de la pierre dans la construction urbaine s´explique par l´évolution du goût, ainsi que par le nombre des carrières exploitées aux alentours, en particulier celles de Salency et de Ville, sans oublier les carrières exploitées depuis le Moyen Age au mont Saint-Siméon.

Les années 1860-1870 marquent le retour à l´utilisation de l´appareil brique et pierre. On citera les maisons du milieu du 19e siècle des boulevards de ceinture ou encore celle du 4 bis, rue du Metz-l´Evêque. Cette évolution s´explique sans doute par le développement des briqueteries à cette époque et par l´évolution du goût.

Conclusion

Cette étude sur la demeure urbaine fait apparaître la présence d´un habitat ancien, certes épars, mais encore partiellement propre à l´analyse pour une ville supposée détruite. Le nombre total de maisons repérées atteint 7,6 % de l´ensemble du bâti de Noyon. En second lieu, l´analyse du mode de bâti local (matériaux, escaliers) et son évolution ont permis d´entreprendre ce travail dans une perspective historique (datation du bâti).

En dernier lieu, l´analyse typologique montre les habitations de toutes les catégories de la société noyonnaise sous l´Ancien Régime. Les chanoines de la cathédrale constituent l´élite. Ils logent dans de nobles et somptueux hôtels, phénomène que l´on constate dès le 17e siècle et qui perdure jusqu´à la Révolution. Parallèlement à cette classe sociale, le 18e siècle voit se constituer une noblesse laïque qui fait construire de semblables hôtels.

Les riches bourgeois habitent des maisons sur rue, proches du centre commerçant ou dans les artères commerçantes elles-mêmes (rue Saint-Eloi). Artisans et commerçants logent dans des maisons à plan massé bordant les places publiques (place de l´Hôtel-de-Ville) ; enfin les classes modestes, journaliers ou manouvriers, habitent une zone excentrée, encore adossée aux fossés de la ville, et proche de l´eau.

  • Période(s)
    • Principale : 16e siècle, 17e siècle, 18e siècle, 19e siècle, 20e siècle
  • Toits
    ardoise, tuile plate, tuile mécanique
  • Murs
    • bois
    • torchis
    • calcaire
    • brique
    • grès
    • béton
    • pan de bois
    • moyen appareil
    • moellon
    • pierre avec brique en remplissage
  • Décompte des œuvres
    • bâti INSEE 4 089
    • repérés 304
    • étudiés 31

Bibliographie

  • CHAUSSAT, René. CHAUSSAT, Yves. Quelques réalisations de R. et Y. Chaussat. A.D.G.D.P.L.G. 125, boulevard Saint-Germain, Paris. Strasbourg : Société Française d'Editions d'Art, [1936].

  • INVENTAIRE GENERAL Région Picardie. La ville de Noyon. Dir. Martine Plouvier. (Cahiers de l'inventaire ; 10). Catalogue de l'exposition : "Noyon, mille ans d'art et d'architecture", Musée du Noyonnais, 20 juin-5 octobre 1987. Amiens : AGIR-Pic, 1987.

    p. 212-228.

Documents figurés

  • Ma Chaumière, villa, boulevard E. Noël à Noyon. E. Lesquendieu, architecte. In Villas et Petites Maisons au XXe siècle. Paris : Albert Morancé, [ca 1920].

    t. 1, pl. 73-74.
  • Maison à Noyon. Rabier, architecte. In LAMBERT, Th. Maisons de campagne et villas. Paris : Charles Schmid, [190 ? ].

    pl. 25-26.
  • Maison à Noyon. Murcier, architecte. In LAMBERT, Th. Maisons de campagne et villas. Paris : Charles Schmid, [ 190 ? ].

    pl. 1-2.
  • Villa à Noyon. Murcier, architecte. In La Construction moderne. 1899-1900.

    p. 7, pl. 1 - 2.
  • Hôtel à Noyon. Bourniquel, architecte. In BOURNIQUEL. Pour construire sa maison. Recueil de constructions édifiées d'après les plans et devis de M. Bourniquel, architecte-expert. La maisonnette, le cottage, [...]. Paris : Garnier Fr., [1918].

    pl. 164.
Date(s) d'enquête : 1986; Date(s) de rédaction : 2009